Az állatorvoslás
nem mindennapi oldala

Dr. Seregi Antal

Gerinctörések

A gerinctörések kialakulását minden esetben valamilyen súlyos trauma előzi meg. Az esetek döntő részében a tulajdonos a kórelőzményben ezt elmondja, de nem egy esetben találkoztunk talált, ismeretlen kórelőzményű, súlyos neurológiai tüneteket mutató állattal.A trauma általában kutyák esetében gázolás, kistestű kutyák (yorkshire terrier, chihuahua) esetében nagytestű kutya harapása, macskák esetében kutyaharapás, gázolás vagy emeletről történő leesés.

A gerinctörött állatok általában súlyos fokú hátsó testfél gyengeség tüneteit mutatják, a sérülés helyétől függően (a gerincoszlop mely szakaszán alakult ki gerincvelő sérülés) azonban a tünetek a mellső végtagokat is érinthetik. Ilyen tünetegyüttes a Schiff-Sherrington syndroma, melyben a gerincvelő sérülése mögötti területen petyhüdt bénulás, míg a sérülés előtti területen a nyújtó izmok fokozott tónusának megjelenése jellemző.

A gerincsérült állatokat ért traumás behatás természetesen nemcsak a gerincoszlopot, hanem egyéb szerveket is érhetik, ezért a gerincvelő sérülés ellátásához rendelkezésünkre álló idő (általában 24 óra) sok esetben az egyéb szervi sérülések miatt meglehetősen rövid vagy az egyéb sérülések következményei - egy akár sikeres gerincműtétet követően is - az állat halálát okozhatják. Ezért a balesetes állatok sérüléseinek ellátása fontossági sorrendben kell hogy megtörténjen, hisz eredményt csak akkor érhetünk el, ha az állat állapotát stabilizáljuk.

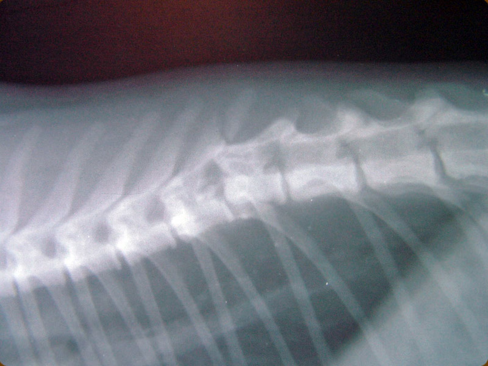
A gerinctörés diagnózisának felállítása komoly döntés elé állítja a tulajdonost és az állatorvost egyaránt. A gerinctörés következtében a gerincvelő minden esetben enyhébb-súlyosabb mértékben sérül. A gerincvelő sérülésének mértékét neurológiai vizsgálattal állapítjuk meg, de a diagnózis felállításához nélkülözhetetlen röntgen felvételről is már információt nyerhetünk a gerincvelő várható állapotáról. A tört végek egymáshoz képest történő kis mértékű elmozdulása esetén a gerincvelő körüli területek bevérzése miatt kialakult neurológiai tünetekkel találkozunk míg nagymértékű elmozdulásuk a gerincvelőt gyakorlatilag olló szerűen elnyírhatja. Így a natív röntgen felvételen a gerinccsatorna elmozdulásából már következtetést vonhatunk le a gerincvelőt ért sérülés mértékéről. A gerincvelő tényleges állapotáról azonban csak neurológiai vizsgálattal győződhetünk meg!

Súlyos fokú gerincvelő sérülés esetén a gerinctörés műtéti ellátását követő gyógyulásnak az esélye meglehetősen kicsi, így ezekben az esetekben az állat euthanasia-ája megfontolandó.

A gerinctörések műtéti ellátása kettős feladatot jelent: egyrészről a törés és elmozdulás következtében kialakult gerincvelő összenyomatást kell megszüntetni, másrészről a tört végeket kell adaptálni és eredeti állapotban - a további elmozdulás megakadályozása érdekében - rögzíteni. A műtéti ellátás során ezért minden esetben az érintett területen a gerinccsatorna felső csontos ívét eltávolítjuk (total laminectomia) így a gerincvelő sérülésének mértéke egyértelműen látható ill. a későbbi összenyomatása elkerülhető.

A törött csigolyatestek adaptációja és rögzítése a nyitott gerinccsatorna mellett komoly kihívást jelent. A későbbi elmozdulás elkerülésére többféle műtéttechnika alkalmazható, melyek közül a csigolyatestek lemezes osteosynthesise ill a fixateur interna használata terjedt el leginkább. Első esetben a sérülés előtti és mögötti csigolyákat lemez és csavarok segítségével egymáshoz rögzítjük, míg az utóbbi esetben a törés előtti és mögötti egy vagy több csigolyatestet két oldalról behelyezett csavarok és egy steril kétkomponensű akrilát műgyanta segítségével rögzítjük.

A műtétet követően nagy hangsúlyt kell fektetnünk az általános állapot további javítására és az egyéb sérülések ellátására. Ez általában kórházi körülmények között végezhető el legsikeresebben.

Szerencsés esetben az állat a műtétet követően néhány héten belül, akár tünetmentesen gyógyul. Az implantátumok későbbi eltávolítására - amennyiben szövődmény nem alakul ki - általában nincs szükség.

Bármilyen műtét után kialakulhat olyan szövődmény, mely gennykeltő baktériumok műtéti sebben történő elszaporodásával jár (szeptikus szövődmény). Különösen igaz ez olyan beavatkozásokra, amikor valamilyen idegen anyag (implantatum) kerül a szervezetbe beültetésre. Ilyen idegen anyag a gerinctörés műtéteknél használatos fixateur interna rögzítőanyaga (akrilát műgyanta) is. Abban az esetben, amikor a szeptikus szövődmény antibiotikumok célzott adásával nem gyógyítható, a test számára idegen anyagot el kell távolítanunk. A gerinctörés műtéténél ez a nyitott gerinccsatorna miatt fokozott kockázatot jelent. Az implantatum eltávolítását követően azonban a szeptikus folyamat gyógyul és a helyén kialakuló kötőszövet a fixateur externának megfelelően rögzíti a gyógyulófélben lévő csigolyát is.



Ha tetszett a cikk, oszd meg másokkal is:


Kiemelt cikkek

Lépcsavarodás

Kedveltem Brandont…Egyike volt azon shar-pei-eknek, akik a rendelőben is barátságosa...

Dunyha

Mindig kedveltem a nem mindennapi kutyaneveket… Dunyhát, a pajkos magyar vizsla lányt...

A mellékvese daganatai

A mellékvesék a vese körüli zsírszövetben találhat&oac...

Legfrissebb cikkek

A mellékvese daganatai

A mellékvesék a vese körüli zsírszövetben találhat&oac...

Gerinctörések

A gerinctörések kialakulását minden esetben valamilyen súlyos trauma előzi meg. Az esetek d...

Lépcsavarodás

Kedveltem Brandont…Egyike volt azon shar-pei-eknek, akik a rendelőben is barátságosa...